-
18 Фев 2026 |
USD / BGN 1.6636
GBP / BGN 2.2450
CHF / BGN 2.1046- Радиация: София 0.11 (µSv/h)
- Времето:
София 0°C 
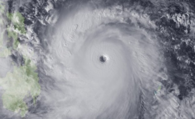
Япония очаква мощния тайфун Неогури
08 Юли 2014 | 08:04
/КРОСС/Властите в Япония отмениха десетки полети и призоваха над 100 000 жители да напуснат домовете си заради приближаването на мощния тайфун Неогури.
Стихията отслабна до известна степен с придвижването си на север, но запази интензивността си с пориви на вятъра, надхвърлящи 250 км/ч.
Тайфунът се придвижва към южния остров Окинава, където са в сила предупреждения за обилни валежи и високи вълни. На много места вече дъждовете създадоха сериозни проблеми, но самият тайфун се очаква да достигне Окинава по-късно през деня.
Според японската метеорологична служба това може да бъде една от най-силните бури, връхлитащи Япония през последните десетилетия.
ВАШИЯТ FACEBOOK КОМЕНТАР